:::
黑斑叉鼻魨 - 教育百科
| 黑 | |
| 斑 | |
| 叉 | |
| 鼻 | |
| 魨 |
中研院臺灣生命大百科
生物資訊
| 中文名: | 黑斑叉鼻魨 |
| 英文名: | Arothron nigropunctatus |
|
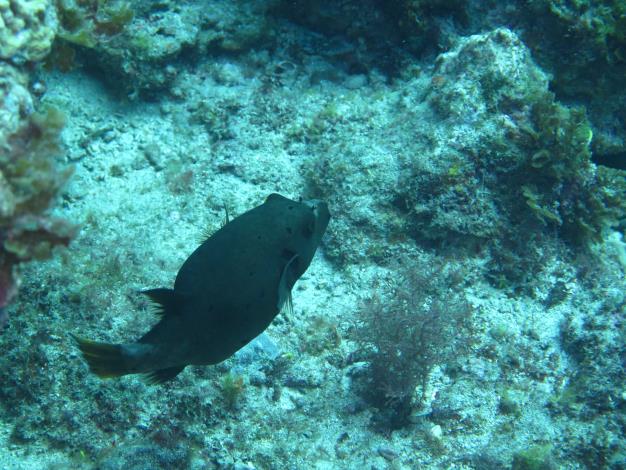
描述: 體長橢圓形,體頭部粗圓,尾柄側扁。體側下緣無縱行皮褶。口小,端位;上下頜各有2個喙狀大牙板。吻短,圓鈍。眼中大,側上位。無鼻孔,兩側各具一個叉狀鼻突起。除吻端、鰓孔周圍與尾柄外,全身佈滿小棘。背鰭圓形至稍微尖形,位於體後部,具軟條10-11;臀鰭與其同形,具軟條10-11;無腹鰭;胸鰭寬短,後緣呈圓弧形;尾鰭寬大,呈圓弧形。體背部褐色,腹部白色,體具不大於瞳孔之黑點,數量遠少於星斑叉鼻魨(A. stellatus),直徑卻較大,且多集中於腹部;吻與鰓孔黑色;肛門上有一黑斑;胸鰭基黑色。各鰭淺灰色或白色,無小黑點;但尾鰭色深,鰭緣白色。此種體色變化很大;幼魚背部黑色,腹部深棕色;背部有小黑點,愈往側邊黑點愈大,腹部黑點稀少;各鰭白色,但尾鰭色深。 |
|
|
分布: 分布於印度-太平洋區,西起紅海、非洲東岸,東至社會群島,北至日本南部,南至澳洲。台灣各地海域均產。 |
|
| 作者: | 臺灣魚類資料庫 |
| 授權方式: | ![]() |
| 資料來源: | 中研院臺灣生命大百科 |
國家教育研究院辭書
基本資料
| 英文: | Black-Spotted Blaasop |
| 日期: | 2007年1月 |
| 出處: | 脊椎動物百科全書 |
辭書內容
|
學名: Arothron nigropunctatus (Bloch et Schneider, 1801) |
|
|
形態: 體短,球型;體背藍褐色;腹部白色;體側具有許多大小黑點;各鰭深色;體型小,體長可達20公分。 |
|
|
分布: 南日本、中國大陸沿岸、台灣、菲律賓、印度--西太平洋區的熱帶海域。 |
|
|
生態習性: 喜棲息於岩礁地帶,嗜食蝦、貝類的肉食性魚類。 |
|
|
利用: 飼養容易,供觀賞用。 |
|
|
門: 脊索動物門(Phylum Chordata) |
|
|
亞門: 脊椎動物亞門(Subphylum Vertebrata) |
|
|
綱: 輻鰭魚綱或條鰭魚綱(Class Actinopterygii) |
|
|
首綱: 硬骨魚類(首網)總論 |
|
|
亞綱: 新鰭魚亞綱(Subclass Neopterygii) |
|
|
組: 真骨魚組(Division Teleostei) |
|
|
亞組: 正真骨亞組(Subdivision Euteleostei) |
|
|
目: 魨目(Order Tetraodontiformes) |
|
|
首目: 棘鰭魚首目(Superorder Acanthomorpha) |
|
|
亞目: 魨亞目(Suborder Tetraodontoidei) |
|
|
系: 鱸形系(Series Percomorpha) |
|
|
科: 四齒魨科(Family Tetraodontidae),Globefishes,Puffers,Swellfihes |
|
|
上科: 魨上科(Superfamily Tetraodontoidea) |
|
| 資料來源: | 國家教育研究院_黑斑叉鼻魨 |
| 授權資訊: | 資料採「 創用CC-姓名標示- 禁止改作 臺灣3.0版授權條款」釋出 |
貓頭鷹博士
貓頭鷹博士
